Частна
Цена на кв.м: 1190.48
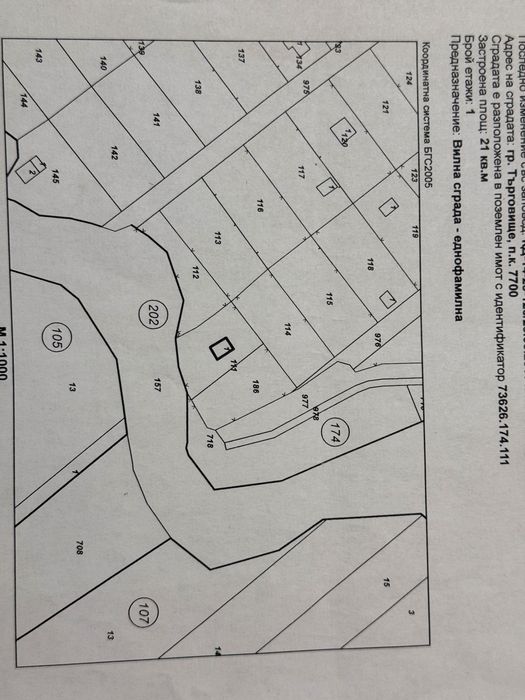
Брой етажи на сградата: 1
Квадратура: 21 кв.м
Квадратура на двора: 354 кв.м
Година на строителство: 1990 г.
Строителство: Панел
Отопление: Без отопление
Състояние на сградата: Завършена
Особености: бартер, лизинг, паркинг
Описание
Продавам парцел 354 кв.м. с постройка (къщичка) 21кв. м. с партида за ток. Вода в близост. На 200м. от главен път в местност “Драката”, спирка “Канала” с лесен достъп за автомобил. За повече информация - пишете.
ID: 145821412
Контакт с продавача
xxx xxx xxx
Добавена 22 октомври 2025 г.
Вила Парцел 345 кв. м.
25000 лв.
Потребител
Локация
гр. Търговище, Запад 1
Област Търговище
