Бизнес
Цена на кв.м: 16.48
Квадратура: 8801 кв.м
Регулация: В регулация
Вода: Без вода
Ток: Без ток
Описание
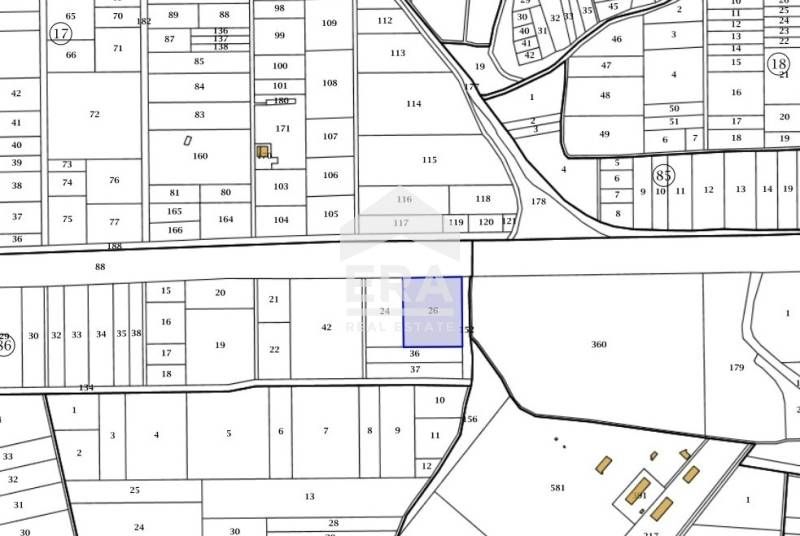
ЕРА Варна Тренд предлага за продажба урегулиран поземлен имот, с лице на автомагистрала Хемус, в гр. Игнатиево, на 15 км от Варна. Парцелът е с площ 8 801 кв.м и с предназначение за обществено-обслужващи дейности: за бензиностания, газостанция, метанстанция. Имотът е равен, с правилна форма и лице 86 м на главния път. Електричество и вода има на границата на парцела.
Игнатиево е град в Североизточна България. Той се намира в община Аксаково, област Варна, на запад от град Варна, на 15 км от нейния център. Има само автомобилни пътища. На 2 км от града в източна посока се намира общинският център - град Аксаково. На 2 км в западна посока е разположено с. Припек, а малко след него - с. Слънчево. На север от гр. Игнатиево е с. Доброглед. В близост до града, на юг от него се намира местността Побитите камъни. В северна посока градът лежи на залесен склон.
Оферта №0220865
Игнатиево е град в Североизточна България. Той се намира в община Аксаково, област Варна, на запад от град Варна, на 15 км от нейния център. Има само автомобилни пътища. На 2 км от града в източна посока се намира общинският център - град Аксаково. На 2 км в западна посока е разположено с. Припек, а малко след него - с. Слънчево. На север от гр. Игнатиево е с. Доброглед. В близост до града, на юг от него се намира местността Побитите камъни. В северна посока градът лежи на залесен склон.
Оферта №0220865
ID: 142181063
Контакт с продавача
xxx xxx xxx

