Навигиране до основното съдържание
OLX Christmas Logo
Чат

Нотификации

Добави обява
Собственик продава Промишлен парцел 5002 м2, УПИ, Варна, с. Тополи
Собственик продава Промишлен парцел 5002 м2, УПИ, Варна, с. Тополи
Собственик продава Промишлен парцел 5002 м2, УПИ, Варна, с. Тополи
Собственик продава Промишлен парцел 5002 м2, УПИ, Варна, с. Тополи
Собственик продава Промишлен парцел 5002 м2, УПИ, Варна, с. Тополи
ПромотирайОбнови

Бизнес

Цена на кв.м: 85.87

Квадратура: 5002 кв.м

Регулация: В регулация

Вода: С вода

Ток: Без ток

Особености: канализация, пром.строителство, виза

Описание

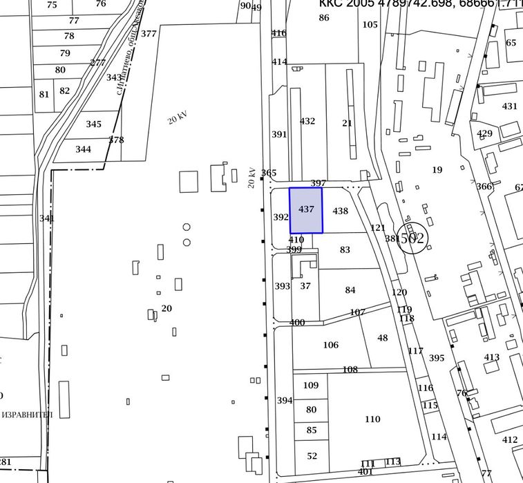
Имот от собственик! УПИ, нов ПУП! Готов за проектиране.
Промишлена зона 'Клисе Баир', в землището на кв. Тополи.
Първа линия. Ъглов парцел с две улици.
На една улица със Софарма и Нур пиле
Hовоизграден бетонов широк път, равен
Подходящ за складова/производствена база. Канализация и вода - на границата на имота. Становища за присъединяване от ВиК и ЕРП - Север
Поземления имот e със следните параметри на застрояване:
- Плътност на застрояване: 60%
- Интензивност на застрояване (Кинт): 2,5
- Озеленена площ: 30%
- Височина корниз: 15 м.
- Начин на застрояване: свободно

Кадастрален номер: 72709.502.437
ID: 144129856

Контакт с продавача

Верс Импорт ЕООД

В OLX от април 2015 г.

Последно онлайн днес в 12:43 ч.

xxx xxx xxx

Добавена 08 декември 2025 г.

Собственик продава Промишлен парцел 5002 м2, УПИ, Варна, с. Тополи

840028.99 лв. / 429500 €

Потребител

Локация

Location

гр. Варна, Западна промишлена зона

Област Варна

За този потребител

Свали приложението на OLX за твоя телефон!