Бизнес
Цена на кв.м: 25
Квадратура: 15000 кв.м
Регулация: В регулация
Вода: Без вода
Ток: Без ток
Особености: пром.строителство
Описание
Продават се имоти, подходящи за ТЪРГОВСКО, ПРОМИШЛЕНО и ИНДУСТРИАЛНО застрояване.
ВСИЧКИ ОТ ИМОТИТЕ се намират с ГОЛЯМО ЛИЦЕ на международния път Е80 (бул. Европейски път продължението на бул. Сливница) посока Калотина (Сърбия - Западна Европа). ЕДИН от имотите се намира С ЛИЦЕ на АСФАЛТОВ път за Бобен. Всички имоти се намират се в района на с. Хераково - община Божурище, на разстояние около 12 км. от София в западна посока.
Имотите които се продават са ГОЛЕМИ. Квадратурата им е МЕЖДУ 8 И 40 ДЕКАРА. Цената на имотите започва от 25 евро/кв.м. Има ВЪЗМОЖНОСТ ЗА ОБЕДИНЯВАНЕ на съседни имоти с цел постигане на по-голяма квадратура.
ИМОТИТЕ СЕ ПРОДАВАТ ЗАЕДНО И ПО ОТДЕЛНО!
МОЖЕМ ДА ПОСТИГНЕМ ИМОТ С КВАДРАТУРА 100 ДЕКАРА С ОГРОНО ЛИЦЕ НА БУЛ. ЕВРОПЕЙСКИ ПЪТ (Е80), ПОДХОДЯЩ за МАЩАБНИ ПРОЕКТИ!
Устройствената зона, в която попадат имотите е Ц с показатели на застрояване
КИНТ: 2
Плътност: 60%
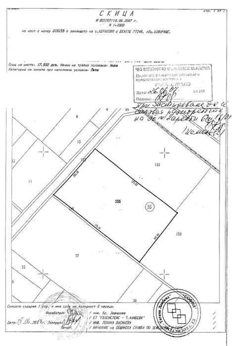
Прилагаме и СКИЦИ НА РЕГУЛАЦИИТЕ на повечето имоти, които се продават с ТОЧНИТЕ ПОКАЗАТЕЛИ И ПАРАМЕТРИ на застрояване на всеки отделен имот.
Подходящи са за изграждане на склад, фабрика, фирмено представителство, изложбено-търговска зала, офиси, хотел и много др.
Имотите са подходящи за покупка, както за СОБСТВЕНО ПОЛЗВАНЕ, така и с ИНВЕСТИЦИОННА ЦЕЛ, поради голямото развитие и потенциал в района и заради характеристиките на всеки имот.
АГЕНЦИЯТА НИ РАЗПОЛАГА И С МНОГО ДРУГИ ИМОТИ с различна квадратура В СЪЩИЯ РАЙОН ВСИЧКИ, КОИТО СА С ЛИЦЕ НА ПЪТЯ Е80 - БУЛ. ЕВРОПЕЙСКИ ПЪТ, ПО НЕГОВОТО ПРОТЕЖЕНИЕ ОТ РАЙОНА НА С. ХЕРАКОВО ДО ГР. БОЖУРИЩЕ ВКЛЮЧИТЕЛНО!!!
ОБЩАТА КВАДРАТУРА НА ВСИЧКИ ИМОТИ С КОИТО РАЗПОЛАГАМЕ И ПРЕДЛАГАМЕ Е НАД 1000 ДКА.!
СОБСТВЕНОСТТА НА ВСИЧКИ НАШИ ИМОТИ Е БЕЗУПРЕЧНА И НАПЪЛНО УРЕДЕНА, ГАРАНТИРАНО ПРИ ЮРИДИЧЕСКА ПРОВЕРКА!!!
Запознати сме с цялата история от придобиването на собствеността и на всичките имоти, управлението им през годините и сегашния му статут и ситуация. Агенцията ни се намира в пряк контакт със собствениците всичките имот и бихме могли ДА ДОГОВОРИМ ДОБРИ И ГЪВКАВИ УСЛОВИЯ за сделка.
БЛАГОДАРИМ ВИ, ЧЕ ОТДЕЛИХТЕ ВРЕМЕ ЗА ТАЗИ ОБЯВА! ЩЕ СЕ РАДВАМЕ ДА СТАНЕТЕ НАШИ КЛИЕНТИ! БЪДЕТЕ ЗДРАВИ!
За допълнителна информация и огледи: 08********82 Самуил Желев
ВСИЧКИ ОТ ИМОТИТЕ се намират с ГОЛЯМО ЛИЦЕ на международния път Е80 (бул. Европейски път продължението на бул. Сливница) посока Калотина (Сърбия - Западна Европа). ЕДИН от имотите се намира С ЛИЦЕ на АСФАЛТОВ път за Бобен. Всички имоти се намират се в района на с. Хераково - община Божурище, на разстояние около 12 км. от София в западна посока.
Имотите които се продават са ГОЛЕМИ. Квадратурата им е МЕЖДУ 8 И 40 ДЕКАРА. Цената на имотите започва от 25 евро/кв.м. Има ВЪЗМОЖНОСТ ЗА ОБЕДИНЯВАНЕ на съседни имоти с цел постигане на по-голяма квадратура.
ИМОТИТЕ СЕ ПРОДАВАТ ЗАЕДНО И ПО ОТДЕЛНО!
МОЖЕМ ДА ПОСТИГНЕМ ИМОТ С КВАДРАТУРА 100 ДЕКАРА С ОГРОНО ЛИЦЕ НА БУЛ. ЕВРОПЕЙСКИ ПЪТ (Е80), ПОДХОДЯЩ за МАЩАБНИ ПРОЕКТИ!
Устройствената зона, в която попадат имотите е Ц с показатели на застрояване
КИНТ: 2
Плътност: 60%
Прилагаме и СКИЦИ НА РЕГУЛАЦИИТЕ на повечето имоти, които се продават с ТОЧНИТЕ ПОКАЗАТЕЛИ И ПАРАМЕТРИ на застрояване на всеки отделен имот.
Подходящи са за изграждане на склад, фабрика, фирмено представителство, изложбено-търговска зала, офиси, хотел и много др.
Имотите са подходящи за покупка, както за СОБСТВЕНО ПОЛЗВАНЕ, така и с ИНВЕСТИЦИОННА ЦЕЛ, поради голямото развитие и потенциал в района и заради характеристиките на всеки имот.
АГЕНЦИЯТА НИ РАЗПОЛАГА И С МНОГО ДРУГИ ИМОТИ с различна квадратура В СЪЩИЯ РАЙОН ВСИЧКИ, КОИТО СА С ЛИЦЕ НА ПЪТЯ Е80 - БУЛ. ЕВРОПЕЙСКИ ПЪТ, ПО НЕГОВОТО ПРОТЕЖЕНИЕ ОТ РАЙОНА НА С. ХЕРАКОВО ДО ГР. БОЖУРИЩЕ ВКЛЮЧИТЕЛНО!!!
ОБЩАТА КВАДРАТУРА НА ВСИЧКИ ИМОТИ С КОИТО РАЗПОЛАГАМЕ И ПРЕДЛАГАМЕ Е НАД 1000 ДКА.!
СОБСТВЕНОСТТА НА ВСИЧКИ НАШИ ИМОТИ Е БЕЗУПРЕЧНА И НАПЪЛНО УРЕДЕНА, ГАРАНТИРАНО ПРИ ЮРИДИЧЕСКА ПРОВЕРКА!!!
Запознати сме с цялата история от придобиването на собствеността и на всичките имоти, управлението им през годините и сегашния му статут и ситуация. Агенцията ни се намира в пряк контакт със собствениците всичките имот и бихме могли ДА ДОГОВОРИМ ДОБРИ И ГЪВКАВИ УСЛОВИЯ за сделка.
БЛАГОДАРИМ ВИ, ЧЕ ОТДЕЛИХТЕ ВРЕМЕ ЗА ТАЗИ ОБЯВА! ЩЕ СЕ РАДВАМЕ ДА СТАНЕТЕ НАШИ КЛИЕНТИ! БЪДЕТЕ ЗДРАВИ!
За допълнителна информация и огледи: 08********82 Самуил Желев
ID: 145551463
Контакт с продавача
xxx xxx xxx
Добавена 29 септември 2025 г.
Продава големи парцели с лице на Европейски път Е80 района на Хераково
375000 €
Потребител
Локация
с. Хераково
Област София-област