Частна
Цена на кв.м: 396
Квадратура: 500 кв.м
Регулация: В регулация
Вода: С вода
Ток: С ток
Особености: пром.строителство, жил.строителство
Описание
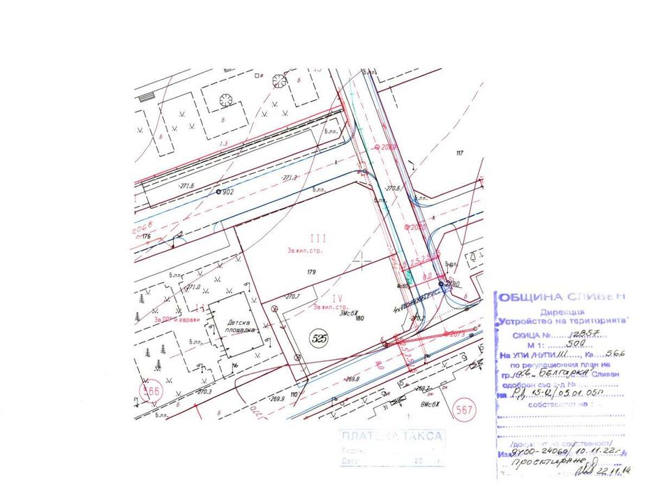
Собственик предлага за продажба УПИ (урегулиран поземлен имот) находящ се в кв. Българка.
Параметри (ПУП) - РЗП 840 кв.м. / плътност на застрояване 80%.
Парцелът е ъглов, с лице на две улици (45 м), на много комуникативно място, в близост до детска ясла, детска градина и училище, бърз и удобен достъп до два основни булеварда за град Сливен - бул. ”Стефан Стамболов” и бул. ”Георги Данчев”.
Теренът е равен, с правилна правоъгълна форма, в устройствена зона с комплексно застрояване, подходящ за - жилищно строителство, търговски обекти, инвестиция или друг тип бизнес.
Имотът попада непосредствено в централната част от кв. Българка в която през 2022 год. от община Сливен беше извършено благоустрояване и рехабилитация - озеленяване, залесяване с иглолистна растителност, поставяне на допълнително парково осветление, изградени две нови улици с тротоари, паркоместа, беседки, детски площадки, многофункционално спортно игрище и спортна площадка с уреди.
Параметри (ПУП) - РЗП 840 кв.м. / плътност на застрояване 80%.
Парцелът е ъглов, с лице на две улици (45 м), на много комуникативно място, в близост до детска ясла, детска градина и училище, бърз и удобен достъп до два основни булеварда за град Сливен - бул. ”Стефан Стамболов” и бул. ”Георги Данчев”.
Теренът е равен, с правилна правоъгълна форма, в устройствена зона с комплексно застрояване, подходящ за - жилищно строителство, търговски обекти, инвестиция или друг тип бизнес.
Имотът попада непосредствено в централната част от кв. Българка в която през 2022 год. от община Сливен беше извършено благоустрояване и рехабилитация - озеленяване, залесяване с иглолистна растителност, поставяне на допълнително парково осветление, изградени две нови улици с тротоари, паркоместа, беседки, детски площадки, многофункционално спортно игрище и спортна площадка с уреди.
ID: 133792771
Контакт с продавача
xxx xxx xxx
Добавена 03 януари 2026 г.
Парцел за продажба в кв. Българка от собственик - РЗП 840 кв.м.
387254.34 лв. / 198000 €
Потребител
Локация
гр. Сливен, Българка
Област Сливен