Бизнес
Цена на кв.м: 642.45
Квадратура: 996 кв.м
Регулация: В регулация
Вода: С вода
Ток: С ток
Описание
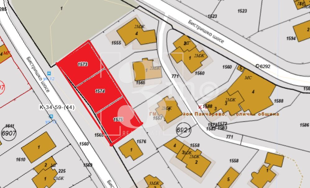
„3mo“ недвижими имоти предлага на Вашето внимание уникална възможност за инвестиция в парцел, разположен на Бистришко шосе.
Предлаганият уникален проект включва три самостоятелни УПИ-та, идеални за изграждане на индивидуални къщи с площ от по 332 кв.м. Една от къщите вече е на етап „груб строеж“. Имотът е разположен на самото Бистришко шосе и предлага невероятна панорамна гледка към София. Проектът е подходящ за затворен комплекс или индивидуални къщи според желанията на собствениците. Имотът разполага с ток, вода и изградена подпорна стена. Всяка къща има осигурено паркомясто, а пред комплекса е предвиден паркинг за бъдещите обитатели.
Не се колебайте да се свържете с нас за повече информация!
Оферта № 2081
Предлаганият уникален проект включва три самостоятелни УПИ-та, идеални за изграждане на индивидуални къщи с площ от по 332 кв.м. Една от къщите вече е на етап „груб строеж“. Имотът е разположен на самото Бистришко шосе и предлага невероятна панорамна гледка към София. Проектът е подходящ за затворен комплекс или индивидуални къщи според желанията на собствениците. Имотът разполага с ток, вода и изградена подпорна стена. Всяка къща има осигурено паркомясто, а пред комплекса е предвиден паркинг за бъдещите обитатели.
Не се колебайте да се свържете с нас за повече информация!
Оферта № 2081
ID: 145720143
Контакт с продавача
xxx xxx xxx

